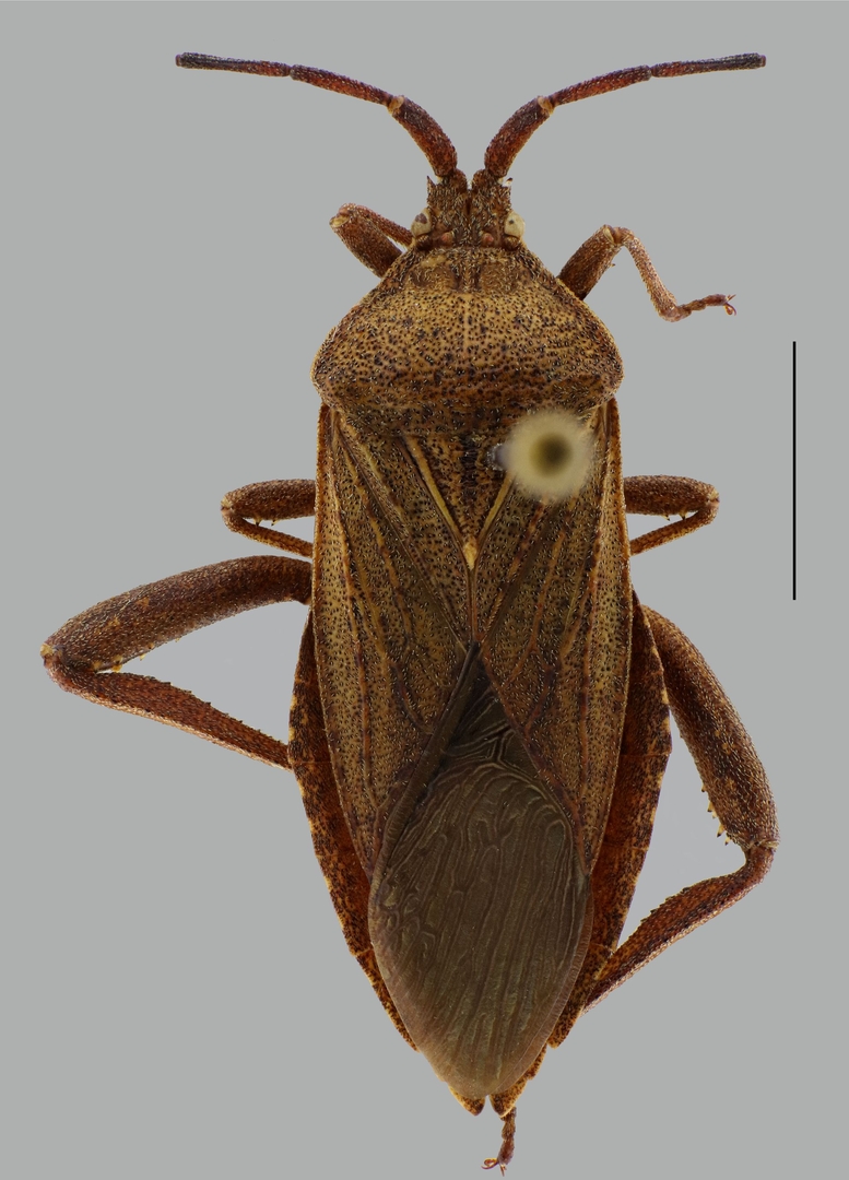
Brunneocoris kormilevi Olivera, Dellapé & Melo, 2026
 
Geographic distribution
Distribution
No economic damages registered
  • Argentina
    • Salta
Other distribution
 
  • OLIVERA L., DELLAPÉ P.M & MELO M.C. 2026. Diversity of Acanthocerini Bergroth, 1913 (Heteroptera: Coreidae: Coreinae) in South America: new taxa, nomenclatorial arrangements, and expanded distributions. Zoologischer Anzeiger, 320: 47–56.
Creative Commons License Except where otherwise noted, content on this site is licensed under a Creative Commons Attribution-ShareAlike 4.0 International License.