Home
Search
Alphabetically
Classification
Geographic distribution
References
About the catalogue
Español
Species info
Gallery
Distribution
Information
Previous
|
Next
Classification
>
Superfamily
Lygaeoidea
>
Family
Blissidae
>
Genus
Ischnodemus
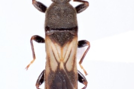
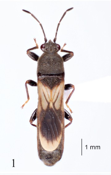
Ischnodemus pilcomayo
Dellapé & Melo 2025
Male Holotype (MLP11000)
Male Holotype (MLP11000)
Geographic distribution
Distribution
No economic damages registered
Argentina
Formosa
Other distribution
Links
Lygaeoidea Species File
References
DELLAPÉ P. M. & MELO M. C. 2025.
Ischnodemus pilcomayo
, a New Species from Argentina, and Description of the Male of
I. pullus
Slater and Wilcox (Hemiptera: Heteroptera: Blissidae). J. Int. Heteropterists’ Soc. 2 (4): 209–218:210-213.
Except where otherwise noted, content on this site is licensed under a
Creative Commons Attribution-ShareAlike 4.0 International License
.