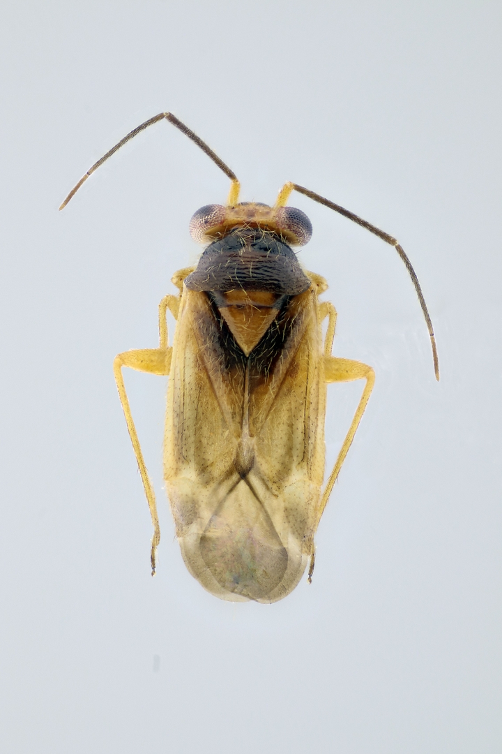
Hadronemella tucumana Carvalho 1984
 
Distribución geográfica
Distribución
Sin perjuicios económicos registrados
  • Argentina
    • Chaco
    • Formosa
    • Salta
    • Santiago del Estero
    • Tucumán
Otra distribución
 
Holotipo macho depositado en el Museo de Historia Natural y Antropologia de Rio de Janeiro (Carvalho 1984). Paratipo macho depositado en el Museo de La Plata (Coscarón & Carpintero 1996) y paratipos hembra depositados en el Museo de Historia Natural y Antropologia de Rio de Janeiro (Carvalho 1984).
  • CARVALHO, J. C. M. 1984. Mirideos neotropicais, CCXLI: Cinco generos e sete espécies novos (Hemiptera). Revista Brasileira de Biologia 44: 45-57.
  • CARPINTERO D.L. & CARVALHO J.M.C. 1993. An annotated list of the Miridae of the Argentine Republic (Hemiptera). Revista brasileira de Biología 53(3): 397-420.
  • COSCARÓN, M. D. C. & CARPINTERO, D. L. 1996. Los ejemplares tipo de miridae (Heteroptera) depositados en la colección del Museo de La Plata. Serie técnica y didáctica-Facultad de Ciencias Naturales y Museo. Universidad Nacional de La Plata (Argentina) 26: 1-16.
  • MELO, M.C., CASTRO-HUERTAS, V., MINGHETTI, E., OLIVERA, L., AMARU CASTELO, J. & DELLAPÉ, P.M. 2024. Diversity of True Bugs from the Rio Pilcomayo National Park, Formosa Province, Argentina. J. Int. Heteropterists’ Soc. 1 (4): 248–280. https://doi.org/10.11646/jihs.1.4.6
  • MELO, M.C., CASTRO-HUERTAS, V., MINGHETTI, E., OLIVERA, L., SERRANO, A. & DELLAPÉ, P.M. 2024. 2024. Diversity of true bugs (Insecta, Hemiptera, Heteroptera) from the El Impenetrable National Park, Argentina. Zootaxa 424 (1): 1–43.
Creative Commons License Excepto en los lugares indicados, los contenidos de este sitio están bajo una licencia Creative Commons Reconocimiento-CompartirIgual 4.0 Internacional.