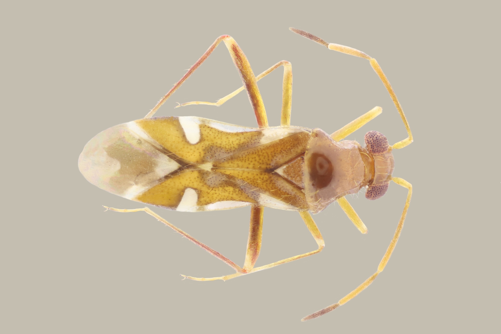
Laemocoridea dispersa (Carvalho 1944)
 
Geographic distribution
Distribution
No economic damages registered
  • Argentina
    • Buenos Aires
    • Chaco
    • Córdoba
    • Corrientes
    • Entre Ríos
    • Formosa
    • Jujuy
    • Mendoza
    • Misiones
    • Río Negro
    • Salta
    • San Luis
    • Santiago del Estero
    • Tucumán
Other distribution
Also known from Brazil (Carvalho 1944), Cooperative Republic of Guyana (Maldonado Capriles 1970), Paraguay (Carvalho 1988) and Suriname (Carvalho & Rosas 1965).
 
  • Sericophanes constrictus Maldonado Capriles 1970
Male Holotype, Allotype and Paratypes of Laemocoridea dispersa (Carvalho 1944) deposited at Museo de Historia Natural y Antropologia de Rio de Janeiro (Carvalho 1944).
Male Holotype of Sericophanes constrictus Maldonado Capriles 1970 deposited at Smithsonian National Museum of Natural History (Maldonado Capriles 1970).
Phaseolus vulgaris "common bean" or "French bean"
Gossypium hirsutum "upland cotton" or "Mexican cotton"
Solanum lycopersicum "tomato"
  • CARVALHO, J. C. M. 1944. Mirideos neotropicais: Sôbre o gênero Sericophanes Reuter, com a descricao de uma nova especie. Revista Brasileira de Biologia 4: 485-491, 20 figs.
  • CARVALHO J.C.M. & ROSAS A.F. 1965. Mirideos neotropicais, XCV: Genero e especie nova do Suriname, com uma lista de espécies coligidas em Paramaribo (Hemiptera). Revista Brasileira de Biologia 25: 207-210.
  • MALDONADO CAPRILES, J. 1970. New species in the genus Sericophanes Reuter (Hemiptera: Miridae). Proceedings of the Entomological Society of Washington 72: 98-106.
  • CARVALHO, J. C. M. 1988. Mirideos neotropicais, CCXCIV: Genero Laemocoridea Poppius, com descriçao de uma nova especie (Hemiptera). Boletim do Museu Paraense Emilio Goeldi, Zoologia 4: 77-85.
  • CARPINTERO D.L. & CARVALHO J.M.C. 1993. An annotated list of the Miridae of the Argentine Republic (Hemiptera). Revista brasileira de Biología 53(3): 397-420.
  • CARPINTERO D.L. & COSCARÓN M.C. 2023. Miridae. In: Claps, L.E., Roig-Juñet, S. & Morrone, J.J. Biodiversidad de Artrópodos Argentinos vol. 6. Editorial INSUE UNT, San Miguel de Tucumán, Argentina
  • MELO, M.C., CASTRO-HUERTAS, V., MINGHETTI, E., OLIVERA, L., AMARU CASTELO, J. & DELLAPÉ, P.M. 2024. Diversity of True Bugs from the Rio Pilcomayo National Park, Formosa Province, Argentina. J. Int. Heteropterists’ Soc. 1 (4): 248–280. https://doi.org/10.11646/jihs.1.4.6
Creative Commons License Except where otherwise noted, content on this site is licensed under a Creative Commons Attribution-ShareAlike 4.0 International License.