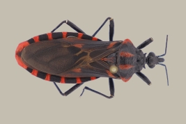
Panstrongylus megistus (Burmeister 1835)
 
Geographic distribution
Distribution
Economic and sanitary importance
  • Argentina
    • Corrientes
    • Formosa
    • Jujuy
    • Misiones
    • Salta
  • Uruguay
Other distribution
Also known from Bolivia, Brazil and Paraguay (Galvao et al. 2003, Ceccarelli et al. 2018).
 
  • Conorhinus megistus Burmeister 1835
  • Conorhinus gigas Burmeister 1861
  • Conorhinus porrigens Walker 1873
  • Triatoma wernickei Del Ponte 1923
  • Triatoma africana Neiva 1911
  • Panstrongylus africanus Pinto 1931
This species has been found in peridomestic (chicken houses) and many sylvatic habitats, such as nests and hiding places of opossums and rodents, in decaying or hollow trees, in palm trees, at the base of bromeliad leaves in clumps of the agave Fourcroya gigantea, among roots of fig trees, and in fissures in rocks (Lent & Wygodzinsky 1979).
  • LENT, H. & P. WYGODZINSKY. 1979. Revision of the Triatominae (Hemiptera: Reduviidae), and their significance as vectors of Chagas' disease. Bulletin of the American Museum of Natural History 163(3): 123-520.
  • GALVÃO C., CARCAVALLO R., DA SILVA ROCHA D. & JURBERG J. 2003. A checklist of the current valid species of the subfamily Triatominae Jeannel, 1919 (Hemiptera, Reduviidae) and their geographical distribution, with nomenclatural and taxonomic notes. Zootaxa 202: 1-36.
  • MELO, M. C., DELLAPÉ, G., OLIVERA, L., VARELA, P. S., MONTEMAYOR, S. I., & DELLAPÉ, P. M. 2017. Diversity of true bugs from Iguazú National Park, Argentina. CheckList 13(5): 479-511.
  • CECCARELLI S., BALSALOBRE A., MEDONE P., CANO M., GURGEL-GONCALVEZ R., FELICIANGLEI D., VEZZANI D., WISNIVESKI-COLLI C., GORLA D.E., MARTI G. RABINOVICH J. 2018. DataTri, a database of American triatomine species occurrence. ScientificData 5:180071 DOI: 10.1038/sdata.2018.71
  • MELO, M.C., CASTRO-HUERTAS, V., MINGHETTI, E., OLIVERA, L., AMARU CASTELO, J. & DELLAPÉ, P.M. 2024. Diversity of True Bugs from the Rio Pilcomayo National Park, Formosa Province, Argentina. J. Int. Heteropterists’ Soc. 1 (4): 248–280. https://doi.org/10.11646/jihs.1.4.6
Creative Commons License Except where otherwise noted, content on this site is licensed under a Creative Commons Attribution-ShareAlike 4.0 International License.